Precision Planning for Land Development
A2Z Civil Engineers specializes in professional drafting of subdivision surveys and plats, delivering precise, compliant, and ready-to-submit drawings for developers, landowners, and municipalities across the United States.
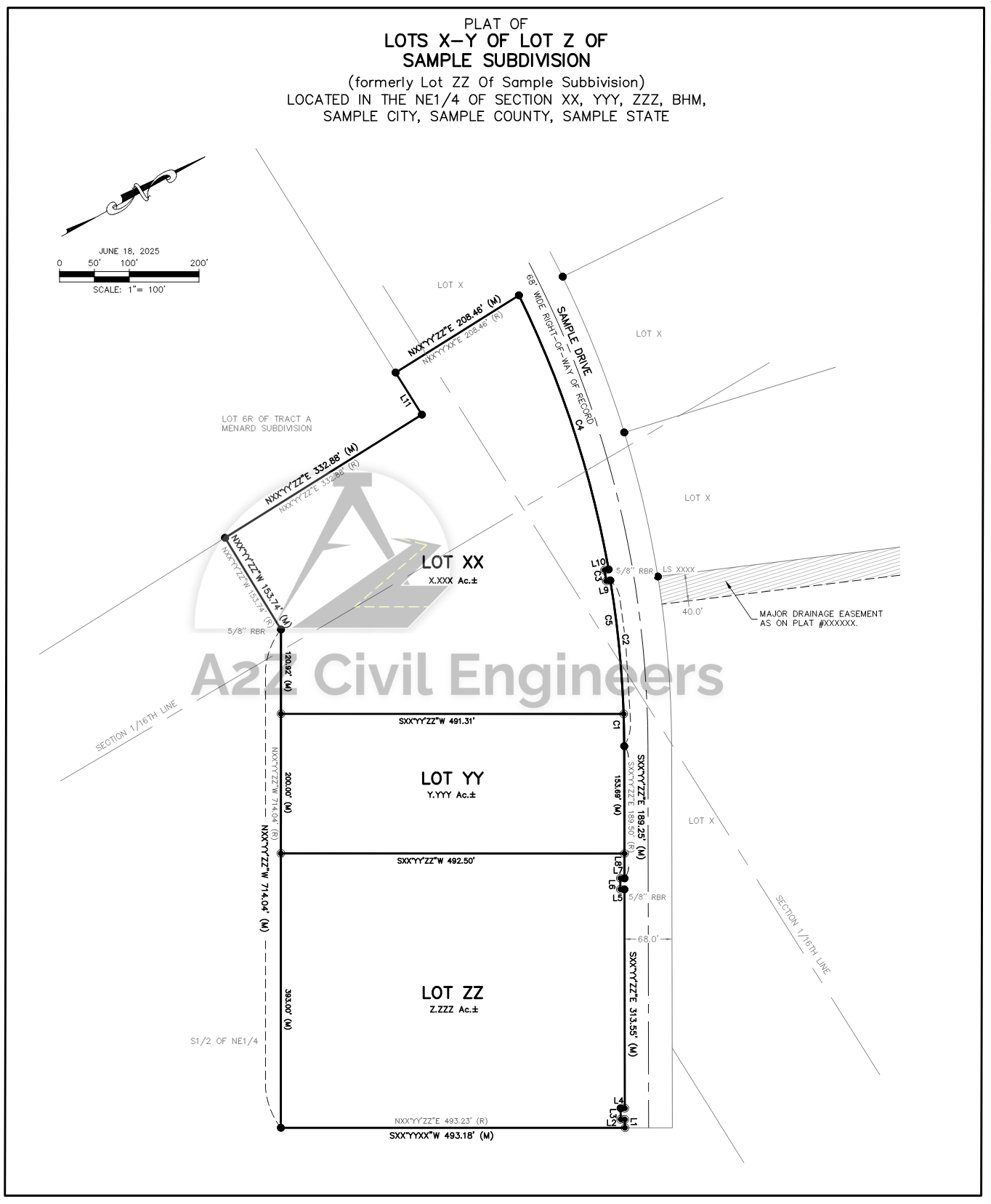
We focus purely on the drafting and documentation phase: you supply the field survey data, legal descriptions, zoning requirements, and any preliminary layouts – we transform them into high-quality, regulator-ready subdivision plats and supporting drawings using the latest CAD and civil design software.
What We Do
Our Subdivision Survey Drafting and Plat Drafting service includes the following key steps to ensure precision and compliance:
- Data Intake & Processing: We receive and organize your on-site measurements (from GPS, total stations, drones, etc.), including data on property boundaries, existing features, and topography for subdivision planning.
- Boundary and Lot Layout Design: We analyze legal descriptions, zoning regulations, and client requirements to design lot layouts that optimize land use while adhering to local ordinances and subdivision standards.
- Drafting Subdivision Plats: Using industry-standard software (e.g., AutoCAD, Civil 3D), we create detailed preliminary and final plats that depict lot boundaries, easements, rights-of-way, utilities, and other required features for municipal approval.
- Regulatory Coordination: We ensure plats comply with local, county, and state regulations, including preparing documentation for planning commissions, zoning boards, or other authorities.

Why Choose Us?
- Regulatory Expertise: Our plats meet stringent local, county, and state requirements, ensuring smooth approval processes.
- High Accuracy: Advanced surveying technology delivers precise measurements for reliable subdivision planning.
- Experienced Team: Our licensed surveyors and drafters bring extensive expertise in subdivision projects of all scales.
- Customized Solutions: We tailor lot designs and plats to meet your specific development goals, whether for residential, commercial, or mixed-use projects.
- Timely Delivery: We prioritize efficiency to keep your project on schedule for approvals and development.

Contact Us Today
Partner with A2Z Civil Engineers for reliable, high-quality engineering and drafting support – delivered accurately, efficiently, and cost-effectively. Contact us at contact@a2zce.com or call +84-93-857-2324 for a free consultation and quote tailored to your project.